2
Uniek perceel bouwgrond van 2.509 m² met open zicht op de velden
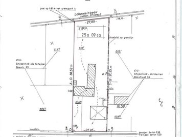
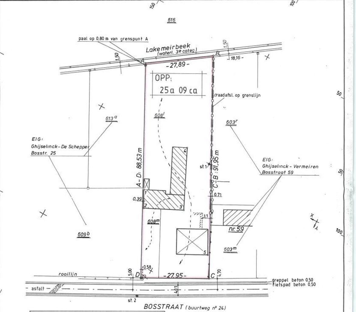
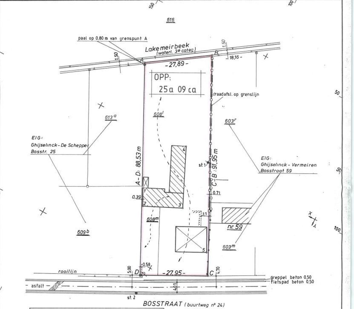
Bosstraat 55, 9810 Nazareth-De Pinte
Omschrijving & kenmerken
Beschikbaarheid: vanaf akte
Op de grens van De Pinte en Nazareth bevindt zich dit uitzonderlijke hoeve op een perceel van maar liefst 2.509 m². De ligging is niet alleen rustig, maar biedt ook een prachtig, open zicht over de omliggende velden — een echte troef in deze regio.
Op het perceel staat momenteel een totaal te renoveren hoeve. De woning kan gerenoveerd worden of afgebroken worden en plaats maken voor een nieuwbouw.
In het kader van afbraak en wederopbouw kan je genieten van het verlaagde btw-tarief van 6% op nieuwbouw (in plaats van 21%).
Er is geen bouwverplichting, waardoor je volledig op je eigen tempo kan (ver)bouwen.
Kortom: de ideale opportuniteit om een ruim perceel te verwerven op een toplocatie, met alle vrijheid en een magnifiek uitzicht.
Meer weten of een bezoek plannen? Neem gerust contact met ons op!
Op het perceel staat momenteel een totaal te renoveren hoeve. De woning kan gerenoveerd worden of afgebroken worden en plaats maken voor een nieuwbouw.
In het kader van afbraak en wederopbouw kan je genieten van het verlaagde btw-tarief van 6% op nieuwbouw (in plaats van 21%).
Er is geen bouwverplichting, waardoor je volledig op je eigen tempo kan (ver)bouwen.
Kortom: de ideale opportuniteit om een ruim perceel te verwerven op een toplocatie, met alle vrijheid en een magnifiek uitzicht.
Meer weten of een bezoek plannen? Neem gerust contact met ons op!
Lees meer
TypeHuis
Slaapkamers2
Gegevens
| Referentie | 7287755 |
| Type | Huis |
| Beschikbaarheid | Vanaf akte |
Indeling
| Grondoppervlakte | 2509m2 |
| Slaapkamers | 2 |
Meldingsplicht
| Stedenbouwkundige bestemming | Woongebied |
| Stedenbouwkundige vergunning | Onbekend |
| Verkavelingsvergunning | Nee |
| Dagvaarding | Onbekend |
| Rechterlijke beslissing | Nee |
| Voorkooprecht | Nee |
| G-score | A |
| P-score | D |
| O-peil | Niet medegedeeld |
Contact aanvraag
